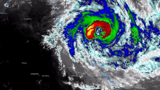
Northeast Australia is bracing itself for the arrival of a "monster" cyclone expected to bring waves of up to 8m (26ft) to the Queensland coast.
Cyclone Debbie, which has been upgraded to a Category four storm, is carrying winds of up to 250km/h (155 mph).
Thousands of people have already been evacuated and Prime Minister Malcolm Turnbull has urged residents to act immediately.
The storm is expected to reach the coast of Queensland on Tuesday.
"If you have received an official evacuation order, you and your family must leave home immediately," Mr Turnbull said, adding that people should seek shelter "on higher ground".
Queensland Premier Annastacia Palaszczuk said the emergency evacuation order was "probably the largest ever" for the northeastern state, and warned people to charge their phones as structural damage and power outages were likely.
"This is going to be a monster of a cyclone," Ms Palaszczuk said, adding that it would rival the devastating Cyclone Yasi in 2011.
About 10,000 people are believed to have already left their homes in the town of Mackay, and thousands more have evacuated their properties in low lying areas such as Bowen and Ayr.
Ms Palaszczuk said that shelters were being made available on higher ground for those with nowhere else to go.
Some residents have refused to leave despite warnings that Cyclone Debbie's destructive core could be as wide as 62 miles (100km).
More than 2,000 emergency services workers are on standby in the state but people have been warned crews will only respond when it is safe for them to do so.
Australia's Bureau of Meteorology said the cyclone could "intensify further" as it moves towards the Queensland coast.
It is expected to make landfall near Bowen sometime after 12:00 local time (02:00 GMT).
Authorities earlier warned that the cyclone could coincide with high tide, which is expected to peak at 3.2m. The storm surge could add an additional 4m, Ms Palaszczuk said.
She said this would bring a dangerous risk of flooding, especially around Mackay.
"I am just pleading to everyone, please, listen to authorities," she said. "I do, you must as well. This is about your safety, it is about the safety of your family and the safety of your children.''
Police Commissioner Ian Stewart said the weather contributed to the death of a woman in a car crash.
Queensland authorities have closed 102 schools, 81 early childhood education centres and two ports.
All flights have been cancelled at Townsville Airport and Mackay Airport.
Mr Stewart warned that emergency crews would not provide help during the storm's peak.
"[It] will get to an extent where all emergency services will not be able to respond to calls for assistance, because obviously, we have got to maintain the safety of our staff," he said.



No comments:
Post a Comment